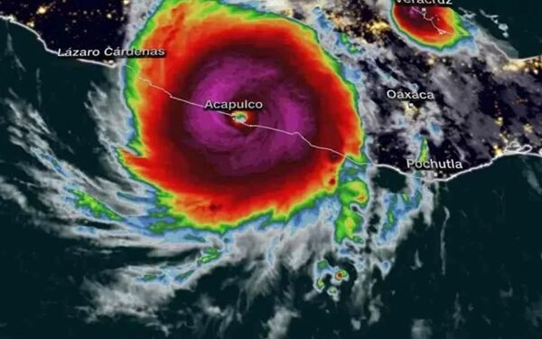
A cidade de Acapulco no México foi a mais impactada pela passagem do furacão Otis, fenômeno que passou de uma tempestade tropical para um furacão de categoria 5, nível máximo, em apenas 24h. O caso aconteceu na manhã desta quarta-feira (25). Até o momento, não há registro de vítimas mediante aos estragos causados pela tempestade.
Apesar do enfraquecimento do furacão Otis no México, ainda são esperadas chuvas extraordinárias, com mais de 250 litros por metro quadrado, nas regiões de Guerrero e chuvas fortes, de 75 a 150 litros, em Oaxaca, segundo os últimos dados atualizados do serviço meteorológico.
O fenômeno pode ocorrer com descargas elétricas e ocasionar inundações, aumento do nível dos rios e deslizamentos de terra










